ブルーベリー シャープブルーの栽培
Growing Sharp Blue
| 栽培しやすさ | ★☆☆☆☆ |
| おすすめ度 | ★☆☆☆☆ |
4月28日、近くのホームセンターからシャープブルーというブルーベリーの苗木を買ってきました。4月29日(日)に畑に植えました。

2012年4月30日 畑に植えたシャープブルー。

2012年5月27日 大きいのが2個熟れていました。

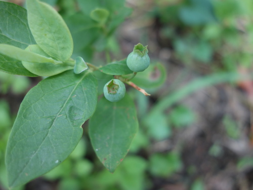
2012年7月1日 だいぶ熟れていました。

2012年7月1日 だいぶ熟れていました。

2012年7月1日 シャープブルー(中央)の隣に植えた新しいビルベリーの苗(左)。

2012年7月15日 シャープブルーの実はだいぶ収穫されて少なくなりました。
2013年4月7日(日) 新しい葉っぱが出てきました。
2013年9月21日(土)、前々から様子がおかしいと思っていたのですが、ついに枯れてきました。それで、枯れてしまったクーパーのあとに移植しました。復活するかどうか様子を見るしかありません。
2014年4月5日(土)、枯れずに生きていました。

少し生長していました。
(2014年4月5日)

少し生長していました。
(2014年4月6日)

新緑が生長していました。
(2014年5月3日)
葉っぱがだいぶ落ちてしまいました。
(2014年10月15日)
シャープブルーというブルーベリーの苗木を育てています。うちではティフブルー、ウッダード、ホームベル、スワニー、エッセル、サウスランドといったラビットアイ系はよく育ちますが、サザンハイブッシュ系(ビッグオニール、ガルフコースト、ミスティー、シャープブルー、クーパー)はすべてあまり育ちません。クーパーに至っては枯れてしまいました。おそらくうちの土との相性が良くないのでしょう。このシャープブルーというブルーベリーは毎年まあまあ生ってくれます。ジャムにして食べていますが、生食も楽しんでいます。

2015年は復活の兆しが見えます。茎が伸びました。実も2個生っています。
(2015年5月2日)
実が生ったのは何年ぶりかです。
(2015年5月2日)
実は落ちてしまっていました。残念です。でも、木が大きくなってくれるならそれでいいです。
(2015年5月30日)
2015年5月30日時点とあまり変わらない感じです。あまり大きくなりません。
(2015年10月18日)
育たないので土を変えて鉢植えにすることにしました。
(2016年9月23日)
鹿沼土に相当する酸性のさつまの土を使いました。
(2016年9月23日)
市販の花と野菜の培養土を充塡しました。
(2016年9月23日)
1ヶ月ほどアパートのベランダに置きましたが、また庭に戻しました。
(2016年11月19日)
葉っぱが紅葉して落ちていました。枝も赤っぽくなっています。生きているようです。
(2017年1月3日)
古い葉っぱは落葉して、新しい葉っぱが出てきました。
(2017年4月2日)
花も2輪咲いていました。買ってきて植えてから5年になりますが、このシャープブルーの花は初めてです。鉢植えに戻したら復活した形です。
(2017年4月2日)
実が生っていました。鉢植えにしたら復活しました。
(2017年5月5日)
反対側から見たら横一直線に見えます。見る角度によって樹形がかなり変わります。ブルーベリーの盆栽も面白いかもしれません。
(2017年5月5日)
1個だけ熟れていました。
(2017年6月3日)
食べてみました。畑に植えているラビットアイ系のブルーベリーよりは甘かったですが、マグノリアの方がもっと甘かったです。
(2017年6月4日)
5ヶ月後、葉っぱは少なくなっているけれど、残っています。樹形は盆栽っぽくなっています。
(2017年11月3日)
2018年4月28日現在、実が生っていました。鉢植えにした甲斐がありました。
(2018年4月28日)
これまでのまとめと今後の予定
シャープブルーを植えてから2015年12月現在で3年半になりますが、なかなか根付かず、生長する気配が感じられません。どうもサザンハイブッシュ系のブルーベリーはうちの畑との相性が悪いようです。ラッビトアイ系は全部育ったのですが・・・・・。
どうも地植えで生長しないばかりか、退化の一方なので、鉢植えにして管理することにしました。掘り起こしてみたら、根があまり張っていませんでした。枯れるかもしれないですが、やれるだけやってみます。そして、地植えしていた場所にはコースタルを植えました。コースタルはサザンハイブッシュ系なので、いけると思います。
シャープブルーは2012年に買って来た時は実がたくさん生っていましたが、花は見たことがありません。今回、鉢植えにして復活を期待しましたが、何とかうまくいったようです。2017年4月2日現在、花が咲いています。このまま順調にいけば実が生ってくれるでしょう。鉢植えに戻して正解でした。来年はもっと大きくなってくれるでしょう。一方、同時に鉢植えに戻したビッグオニールは、復活は厳しいかもしれません。
2017年5月5日現在、実が生っていました。シャープブルーは畑から鉢植えに戻したら復活しました。やはり畑の土が合わなかったようです。ビッグオニールも鉢植えで復活しました。
2017年6月4日、1個熟れている果実を食べてみました。まあまあ甘かったです。畑に植えているラビットアイ系のブルーベリー各種よりは甘いです。しかし、同じサザンハイブッシュ系ではマグノリアの方が美味しかったです。もっと大きな収穫は、畑では育たなかったシャープブルーを鉢植えにしたらさっそく実が生ったという事実です。畑で育たなかった場合でも、鉢植えにすればうまくいく可能性があるということがわかりました。
2017年11月3日現在、葉っぱは少なくなりましたが、ちゃんと生きています。
2018年4月28日現在、地植えの頃にはほとんど生ったことがない実が生っていました。やはり畑の土が合っていなかったことがわかります。

