トップページ > 果樹の栽培記録 > グァバ > グァバの栽培(1本目) > グァバの栽培(3)
グァバの栽培(3)
霜で枯れたイエローストロベリーァバのひこばえが生長して、2年後の2015年に初めて花が咲き、実が生りました。まだ青いですが、今年は初めての実が収穫できそうです。

2015年7月4日
1ヶ月前には花だったっところに実が生っていました。

2015年7月4日
こちらの枝には3個。

2015年7月5日
木の全体像。先日の暴風雨で枝が垂れ気味です。

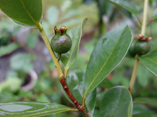
2015年7月5日
こんな感じの青い実です。

2015年7月5日
こちらの枝にも3個生っています。隣りに植えてあるイエローストロベリーグァバの鉢植えの実よりも大きいです。何が原因でこのような差が生じたのか分かりません。日照時間がこちらの木が長かった可能性と、肥料が効率的に実に行った可能性が考えられます。
Tweet