種から発芽したとげなし栗の栽培
Growing of No-Thorny Chestnut from Seed.
| 栽培しやすさ | ★★☆☆☆ |
| おすすめ度 | ★★★★☆ |

実から養分をもらって育ったのがわかるとげなし栗の根と、刈られた芽
(2014年6月8日)
とげなし栗の根を鉢に植えました。
(2014年6月8日)
刈られた上の部分の拡大写真。小さい芽が見えます。
(2014年6月8日)
もっと土を足して、水をたっぷりやりました。
(2014年6月8日)
芽が出ていました。
(2014年7月12日)
葉に虫が入っていました。
(2014年7月13日)
しばらくはこのままで育ててみます。
(2014年7月13日)
2014年6月8日(日)、2013年の秋に木の上に生っていることが確認できていたとげなし栗の実が、いつの間にかなくなっていましたが、地面に落ちていて、そこから芽が出ていました。残念ながら草刈り機で上を刈られてしまっていますが、栗の実から養分をもらって芽が育って根が張っている様子が、掘り起こした根からわかります。これを植木鉢に植えました。これから梅雨で雨が降るので、あまり土は乾かずに済むと思います。枯れるかもしれませんが、根付くことを期待しています。市販の苗はほとんど接ぎ木ですので、種から育った苗は珍しいと思います。ただ、種から育てた場合は突然変異のために同じ物はできないかもしれませんが、それはそれで結果が楽しみです。1ヶ月後に確認します。2014年7月12日(土)、1ヶ月後、芽が出ていました。とげなし栗から出た芽です。珍しいので、育ててみたいと思います。
2014年8月13日(水)、1ヶ月前よりだいぶ生長していました。枝が3本出ていました。この調子なら育ちそうです。
2014年9月10日(水)、1ヶ月前よりさらに一回り生長していました。もう安定したのではないかと思います。水を絶やさない限り大丈夫そうです。

1ヶ月前より葉っぱの緑色が少し濃くなりました。(2014年10月14日)
1ヶ月前より葉っぱの緑色が少し濃くなりました。(2014年11月8日)
葉っぱは全部落ちていました(写真右端)。
(2015年1月4日)
新芽が出てくるでしょう。
(2015年3月28日)
葉っぱがたくさん出ていました。1年足らずでこれです。桃栗3年といいますから、3年後には実が生るかもしれませんね。
(2015年5月2日)
葉っぱや枝の先が枯れてきたので、鉢を一回り大きくすることにしました。。
(2015年5月30日)
植え替えて水をやりました。
(2015年5月30日)
葉っぱが枯れた原因はわかりませんが、これで幹や枝の成長が始まることを期待します。
(2015年5月30日)
大きな鉢に植え替えた効果がありました。だいぶ生長しました。
(2015年7月5日)
だいぶ生長しました。そろそろ地植えしてもいいかもしれません。
(2015年8月15日)
これから地植えします。銀寄の近くに植えます。
(2015年8月18日)
けっこう根が張っていて、鉢の下の穴から出て来て、地面に入り込んでいました。
(2015年8月18日)
ザクロとザクロの間に植えました。草刈り機で刈られないように、あとで棒を立てました。
(2015年8月18日)
銀寄は軽トラに踏まれましたが、こちらは無事でした。どんな実が生るのかわかりませんが、何とか無事に育ってほしい。
(2015年10月17日)
1年前と比べると、けっこう大きくなっています。
(2016年7月2日)
これから新芽がまだまだ出てきそうです。
(2016年7月2日)
1ヶ月半しか経っていないのに、信じられないくらい大きくなっています。3倍以上になっています。
(2016年8月15日)
根元付近もかなり繁っています。これだけ大きくなれば草刈り機で刈られる心配もなくなるので、両側のザクロはそのうち根元から切ります。
(2016年8月15日)
両側に植えてあったザクロの実生は2本とものこぎりで根元から切りました。
(2016年9月25日)
接ぎ木苗の2本(ぽろたんと丹沢)も急に大きくなりましたが、このとげなし栗の実生が最も生長したと思います。
(2016年9月25日)
今年は急に生長しましたが、これから冬なので葉っぱが落ちて休眠するのでしょう。
(2016年11月19日)
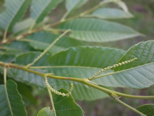
花芽は持っていません。丹沢とぽろたんは花芽を持っていました。
(2017年5月5日)
丈はけっこう伸びました。栗の木の生長は速いです。
(2017年5月5日)
5月からの3ヶ月でかなり生長しました。
(2017年8月13日)
栗の木はすごい勢いで生長することを実感しています。桃栗3年柿8年といいますが、本当に3年で生りそうな勢いです。
(2017年9月23日)
これまで鉢で栽培してきましたが、2015年の盆に地植えしました。これからは根が十分に張れるので、生長に制限はかからないと考えられます。あとは草刈り機と害虫に気をつけなければなりません。
この実生とは別に、接ぎ木苗の丹沢とぽろたんを植えました。これらの中から最低2本育ってくれれば何とかなりそうです。
2016年7月2日現在、ここまでは順調に育ってきたと思います。あとは幹に害虫が入らないように気をつけなければなりません。
2016年8月15日現在、1ヶ月半で3倍以上の高さになっていました。栗の生長は早いと感じていましたが、ここまで早いとちょっとびっくりです。肥料が効いた可能性もあります。
2016年9月25日現在、両側に植えていたザクロの実生苗は根元から切りました。ひこばえが出て来るかもしれませんが、とげなし栗1本に絞ります。
2016年は急成長した年でした。
2017年5月5日現在、木自体はかなり生長しました。丹沢とぽろたんより高くなっていますが、このとげなし栗の実生だけ花芽を持っていません。
2017年8月13日現在、かなり生長しました。栗の木の生長は早いです。ただ、実生苗なので、どんな実が生るのか楽しみでもあり、不安でもあります。普通のトゲのある実が生ったりするのでしょうか。
2017年9月23日現在、1ヶ月前よりさらに大きくなりました。この調子でいけば、来年には実がなることもあるかもしれません。実生なのでどうなるかわかりませんが、期待が脹らみます。

冬の間に葉っぱが落ちて、これから春なので新芽が出てきます。今年は花が咲くことを期待しています。ただ、例えば柑橘系の実生は樹勢が強くて養分は木の生長に使われるため、なかなか実が生らないといわれています。栗も同様だったら今年も花は咲かないかもしれません。まあ、期待して見守ります。
(2018年3月4日)
2018年3月4日現在、落葉した木の骨格が確認できました。下の方は全く剪定していないので枝がけっこう広がっています。できるだけ切らずにここまで育てました。
2014年に発芽してから3年8ヶ月経った2018年4月29日現在、花芽がついていました。桃栗3年柿8年といいますが、実生でも3年で木がかなり大きくなりました。そして3年8ヶ月でつぼみが付いたのは上出来といえます。ただ、とげなし栗の実生からとげなし栗はとれないような気がします。どんな実が生るのか興味があります。
