トップページ > 果樹の栽培記録 > > とげなし栗を種から育てた結果

とげなし栗を種から育てた結果

とげなし栗の種からの栽培のこれまでの経過

最初はとげなし栗の市販接木苗の栽培から始めました。

とげなし栗の市販接木苗の栽培

とげなし栗の市販接木苗から成長した大きな木は、2015年8月25日の台風15号で根元から倒れてダメになってしまいました。その一方で、その2年前の2013年にとげなし栗の実が地面に落ちて、2014年に発芽していました。その実生苗を鉢植えで栽培してみました。それがうまくいったので、ある程度大きくなってから鉢植えから地植えに切り替えました。それからぐんぐん生長して2018年4月には初めての花が咲きました。

2014年から始めたとげなし栗の実生の栽培

そこで、以下に2012年から2014年までの簡単な経過と、2018年4月末からの詳細な経過を示しています。


2012年から2014年までの簡単な経過

2012年5月27日

とげなし栗
とげなし栗のつぼみ

2012年5月27日に撮影したとげなし栗のつぼみ

2012年7月15日

とげなし栗
とげなし栗の実

2012年7月15日現在のとげなし栗の実。とげがありません。

2012年10月21日

とげなし栗
とげなし栗の実

2012年10月21日現在の木の上のとげなし栗の実

2012年11月18日

とげなし栗
とげなし栗の実

落ちていたとげなし栗の実を2012年11月18日に見つけました。

2012年11月18日

とげなし栗
とげなし栗の実

分解してみたら、きれいな栗の実が入っていました。

2013年9月21日

とげなし栗
とげなし栗の実

2013年9月21日現在の木の上のとげなし栗の実

2014年6月18日

とげなし栗
とげなし栗の実

2013年秋に地面に落ちていた栗の実が発芽していました。2014年6月18日に草刈りのあとに見つけました。これを鉢植えで栽培しました。その結果が以下です。


2018年4月からの経過

2018年4月29日

とげなし栗
とげなし栗の実

4年で初めてつぼみがつきました。つぼみは見た感じでは普通の栗の木のつぼみと変わりません。

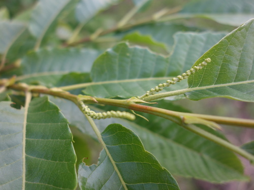
2018年4月30日

とげなし栗
とげなし栗の実

花芽はまだ小さいですが、けっこうたくさん付いています。

2018年4月30日

とげなし栗
とげなし栗の実

1ヶ月後にはつぼみがたくさん付いていました。

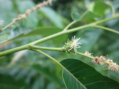
2018年6月3日

とげなし栗
とげなし栗の実

1枚前の写真の1ヶ月後には花が咲いていました。

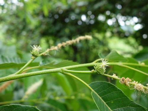
2018年6月3日

とげなし栗
とげなし栗の実

2個結実していました。2012年7月15日の写真に少し似ていますが、とげがない栗の実かどうかはまだわかりません。この写真では左側の実にフォーカスしています。

2018年6月3日

とげなし栗
とげなし栗の実

この写真では右側の実にフォーカスしています。上記の2012年7月15日現在の写真と比べて、さほど違いは認められませんが、とげなし栗であるという結論を出すにはまだ時期尚早です。

2018年6月3日

とげなし栗
とげなし栗の実

右側の実を上から撮ってみました。

2018年6月3日

とげなし栗
とげなし栗の実

褐色になって枯れている花もあります。

2018年6月30日

とげなし栗の実生からできたとげのある栗
とげなし栗の実生からできたとげのある栗

結実を確認してから1ヶ月後、栗の実が木の上の方にもたくさん生っています。

2018年6月30日

とげなし栗の実生からできたとげのある栗
とげなし栗の実生からできたとげのある栗

1ヶ月前の写真の実2個が生長していました。「とげなし栗」ではなく、「とげがある栗」であることがわかりました。つまり、発芽した栗と同じ実はできませんでした。

2018年6月30日

とげなし栗の実生からできたとげのある栗
とげなし栗の実生からできたとげのある栗

接写しました。上記の2012年11月18日の写真と比べると、とげなし栗ではないことは明白です。でも、突然変異で新しい優良品種ができている可能性も1パーセントぐらいはあるかもしれません。

2018年8月14日

とげなし栗の実生からできたとげのある栗
とげなし栗の実生からできたとげのある栗

6月30日には2個あったのに1個になっていました。

2018年8月14日

とげなし栗の実生からできたとげのある栗
とげなし栗の実生からできたとげのある栗

根元付近の枝がかなり伸びて繁っていました。

2018年8月14日

とげなし栗の実生からできたとげのある栗
とげなし栗の実生からできたとげのある栗

隣の柿の木に這わせているキウイの蔓が巻きついています。

2018年8月14日

とげなし栗の実生からできたとげのある栗
とげなし栗の実生からできたとげのある栗

木が急に大きくなりました。木の上にもけっこう生っていました。


これまでのまとめと今後の予定

桃栗3年柿8年といいますが、このとげなし栗の実生は発芽からちょうど4年で実が生りました。一般には実生では親と同じ実は生らないと言われています。かなり低い確率で新しい優良品種ができるともいわれています。今回の実生苗の栽培ではとげがない実が生ることを期待したのですが、とげなしではなく、しっかりとげがある実が生りました。収穫までまだ数ヶ月あるので、どんな実が収穫できるのか、また、どんな味がするのか楽しみです。もしかしたら新しい優良品種である可能性も1パーセントぐらいはあるかもしれません(まあ実際はないでしょうけどw)。

盆休みに帰省したらトゲのある実がかなりたくさん生っていました。どんな味がするかわかりませんが、豊作であることは間違いないです。2014年6月から栽培を始めた実生苗が4年間でここまで大きくなるとは想像できませんでした。しかもトゲのある実がかなりたくさん生っています。あち1ヶ月ぐらいで食べられるでしょうか。楽しみです。







このエントリーをはてなブックマークに追加
  1. 1
  2. 2
  3. 3
  4. 4

このページの上へ戻る